Карта

Продаётся участок: Тольятти, Промзона Северная-Окраинная

7

Характеристики

Дата подачи:
12.03.2026
Дата редактирования:
12.03.2026
Регион:
Самарская область
Город:
Тольятти
Район:
Автозаводский
Микрорайон:
Промзона
Адрес:
Северная-Окраинная
Площадь общая в сотках:
032
Площадь частями:
0
Назначение участка:
Промышленный
Цена за сотку
390.6 т. р.
Просмотров:
37
Цена
12 500 000 р.

Описание

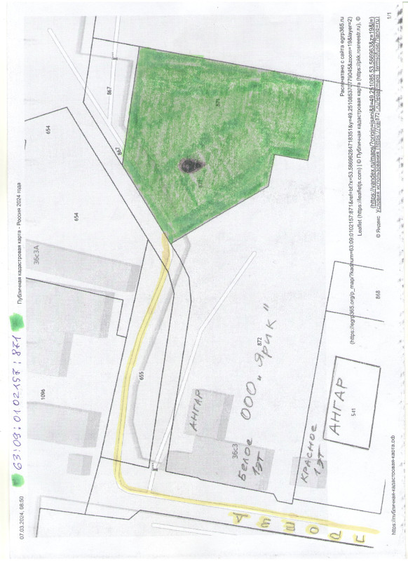
Продается производственная база расположенная на земельном участке Кадастровый номер 63:09:0102157:871., промышленного назначения, площадью 3000 м. кв. . Участок в собственности, оформлен на юридическое лицо. Расположен между улицей Северной и Окраинной. Въезд около Исузу и ЗПБО .(рядом с ул. Северной 36с3) . Ограждение железо - бетонный забор. Новые въездные ворота шириной 7м. Весь участок отсыпан щебнем. На фундаментах смонтирован каркас ангара площадью 650 кв.м., как под холодный вариант из профлиста или теплый из сэндвич панелей . Подключен тельфер 0,5тн.. Холодный ангар 144м.кв. с утепленной крышей. Два помещения из морских контейнеров 30 кв.м и 90 кв.м. на бетонных фундаментах , пластиковые окна, железные двери . Скважина глубиной 60 м. Автономный септик. 10 м. куб. Своя выделенная и подведенная электро мощность 90 кВт. Возможно увеличение площади.

  • Свет
  • Электричество
  • Фундамент
  • Забор
  • Вода

Контакты

Леонид Александрович
89278924566

*За достоверность информации об объекте отвечает рекламодатель!

Карта

Реклама